Эскизный проект 2021
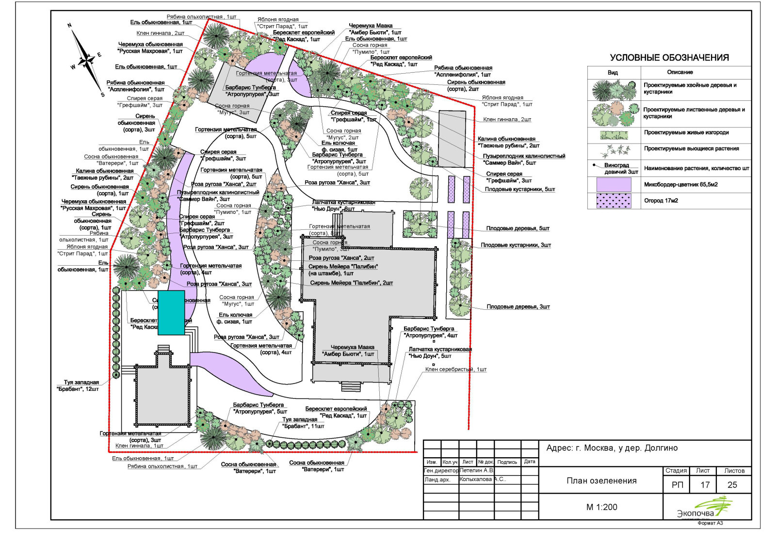
Еще один красивый участок на Киевском шоссе в нашу копилочку. Проект для замечательной семьи с двумя детьми. Деревянный дом в окружении леса. Проектная часть выпущена. Ждем окончания строительных работ для начала реализации проекта
Год реализации: 2021
Стоимость проектирования: 135 000 ₽
25 фотографий

























